Продам земельный участок 1741 м.кв.

на карте
Просмотров 26
2 100 000 руб.
Петрова Эрика
Показать телефон
Данные актуальны на 02.02.2026
Пожаловаться на объявление
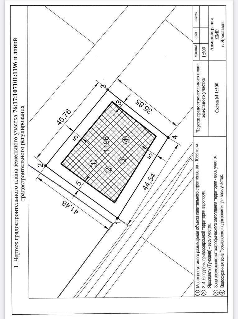
Арт. 90447993. Реализуется земельный участок в Зволжском районе г. Ярославля (направление - за КП Парково) Просторный участок общей площадью 17.5 соток, с возможностью возведения жилого дома. Очень выгодное местоположение участка. С одной стороны граничит с сосновым бором, с другой - береговой линией р. Волга. Кадастровый номер: 76: 17: 107101: 1196 Дорога в ДНП с круглогодичнымпроездом От центра Ярославля до участка 13км В сезон работает пристань речного транспорта "Вакарево" - одна остановка от Речного вокзала -------------------------------------------------------------- Без комиссии для покупателя! -------------------------------------------------------------- 1. Больше информации по телефону и в форме чата. 2. Для иногородних клиентов оперативно покажем объект по видеосвязи. 3. Приглашаем посредников к сотрудничеству на выгодных условиях. 4. Если этот объект не понравился по фотографиям и описанию - обращайтесь, предложим альтернативу. 5. Фиксируем звонки в режиме 24/7, для Вашего удобства работает контакт-центр.
Динамика изменения цен на рынке недвижимости ?

По городу Ярославль, в категории Земельные участки
За последние полгода средняя сумма за кв.м. выросла на 27 руб. Колебание цен происходило от 752 руб. до 779 руб. На текущий момент наблюдается тенденция к росту цены.
Похожие объявления
Обновлено
16.05.2026
Фотографии
11
Объявление 727166
Ярославль, Высокая улица
1 200 010
руб. Продажа
1400 м2
Обновлено
11.05.2026
Фотографии
8
Объявление 737801
Ярославль, 4-я Изумрудная улица
950 000
руб. Продажа
1500 м2
Обновлено
11.05.2026
Фотографии
15
Объявление 727427
Ярославль,
1 056 300
руб. Продажа
1500 м2
Обновлено
07.05.2026
Фотографии
14
Объявление 721522
Ярославль,
500 000
руб. Продажа
1500 м2
Обновлено
06.05.2026
Фотографии
14
Объявление 738002
Ярославль, Никульская слобода территория днп
1 100 000
руб. Продажа
1700 м2
Обновлено
30.04.2026
Фотографии
4
Объявление 725467
Ярославль,
170 000
руб. Продажа
1500 м2
Обновлено
30.04.2026
Фотографии
11
Объявление 718114
Ярославль,
370 000
руб. Продажа
1800 м2
Обновлено
30.04.2026
Фотографии
5
Объявление 710908
Ярославль,
190 000
руб. Продажа
1500 м2
Обновлено
07.04.2026
Фотографии
11
Объявление 687278
Ярославль,
170 000
руб. Продажа
1700 м2
Обновлено
27.03.2026
Фотографии
8
Объявление 713308
Ярославль,
350 000
руб. Продажа
1400 м2
Вход в личный кабинет